1285 Cumberland NEAtlanta, GA 30306
Due to the health concerns created by Coronavirus we are offering personal 1-1 online video walkthough tours where possible.




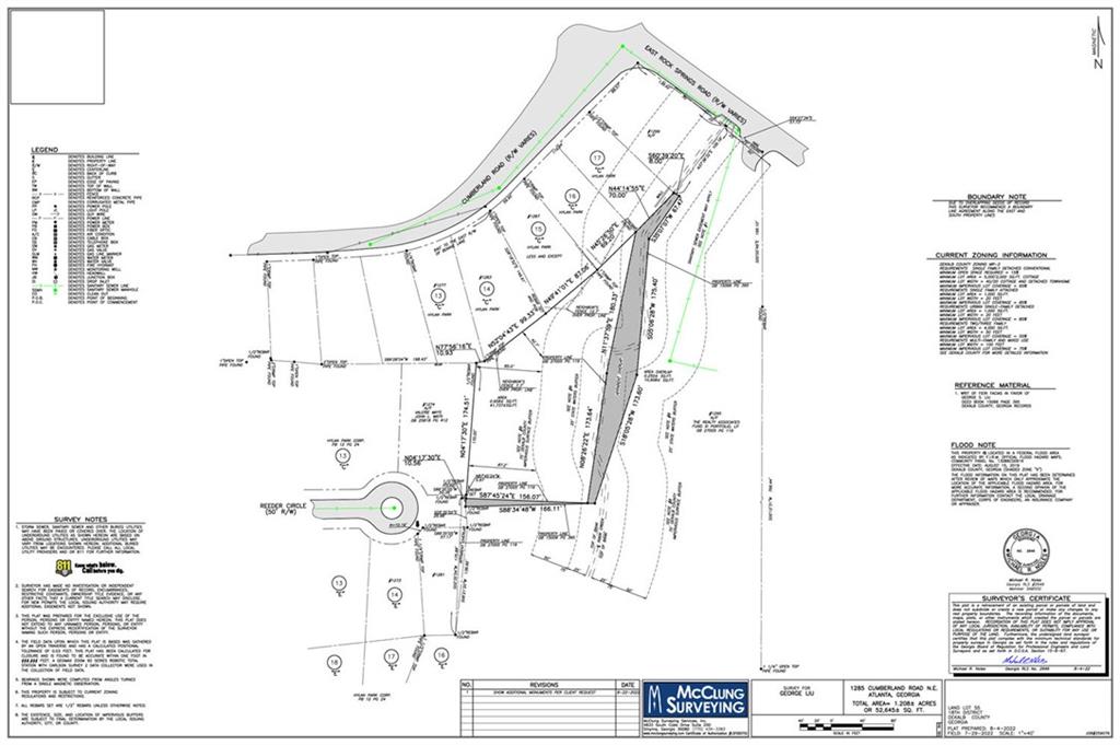
This property has a Cumberland address but access is from the cul de sac at the end of Reeder Circle. This is a full acre lot at the end of a very quiet Morningside/Hyland Park Street. The property is in Dekalb county but is within the Morningside elementary district. There is a stream at the back portion of the lot but the attached survey shows that there is a large buildable section of the property after including the stream buffer. This is a unique opportunity to design and build a property custom designed for the site and to create something very special in one of the best and well established in town neighborhoods. Boundary and topography survey are available in the docs.
| 4 hours ago | Listing first seen on site | |
| 4 hours ago | Listing updated with changes from the MLS® |
Listings identified with the FMLS IDX logo come from FMLS and are held by brokerage firms other than the owner of this website and the listing brokerage is identified in any listing details. Information is deemed reliable but is not guaranteed. If you believe any FMLS listing contains material that infringes your copyrighted work, please click here to review our DMCA policy and learn how to submit a takedown request.
© 2017-2026 First Multiple Listing Service, Inc.

